TBD 43 Loop 567

TBD 43 Loop 567
Granbury, Texas 76048

Active / MLS #21007842 / Vacant Land / Granbury
Listing information updated 7/22/2025 at 9:45am
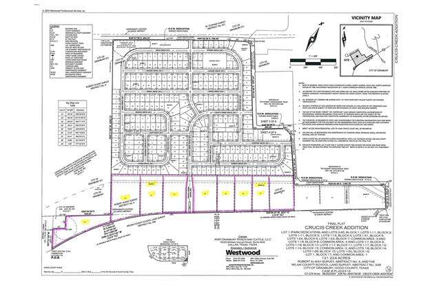
This commercial lot has double frontage on Loop 567 as well as Camp Crucis Ct. and is part of a recently platted Subdivision known as Crucis Creek Addition. There are 305 SINGLE FAMILY LOTS platted immediately behind this property WHICH IS AVAILABLE AS WELL. This location is grandfathered for City water and sewer.

Listing Agent: Jim Martin

Listing Office: RAILHEAD REALTY, LLC

Disclaimer: The data relating to real estate for sale on this website comes in part from the Broker Reciprocity Program of North Texas Real Estate Information Service. Real estate listings held by brokerage firms other than @properties are marked with the Broker Reciprocity thumbnail logo and detailed information about them includes the name of the listing brokers. Information is deemed reliable but not guaranteed accurate by the MLS or NTREIS.

Map of TBD 43 Loop 567, Granbury, TX 76048

Not quite what you are looking for?

Similar listings for sale near TBD 43 Loop 567, Granbury, TX 76048


Like the area?

More homes for sale near TBD 43 Loop 567, Granbury, TX 76048


TBD 43 Loop 567, Granbury, TX 76048 is a vacant land currently listed at $1,254,180. This vacant land has been listed on Christie’s International Real Estate @properties lone star since July 22nd, 2025.