1201 Chews Landing Rd Road

1201 Chews Landing Rd Road
Laurel Springs, New Jersey 08021

Active / MLS #NJCD2105368 / Vacant Land / Laurel Springs
Listing information updated 12/3/2025 at 1:21pm
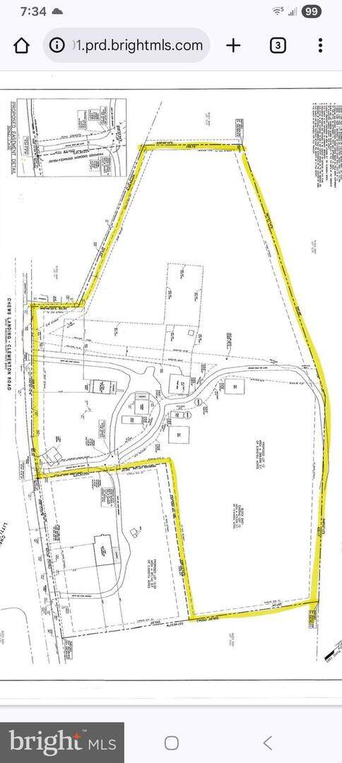
Recently subdivided. total acreage is +-5.5 acres, (Block 9906, Lots 1 & 22) on busy chews landing rd. Site is directly across the street from shop-rite and is at a signalized intersection. This site offers unlimited development potential. All utilities at the se site. Call for survey and details.

Listing Office: Piccolo Realty, LLC

Listing Office Phone: 856.228.5353

Disclaimer: The data relating to real estate for sale on this website appears in part through the BRIGHT Internet Data Exchange program, a voluntary cooperative exchange of property listing data between licensed real estate brokerage firms, and is provided by BRIGHT through a licensing agreement. Listing information is from various brokers who participate in the Bright MLS IDX program and not all listings may be visible on the site. The property information being provided on or through the website is for the personal, non-commercial use of consumers and such information may not be used for any purpose other than to identify prospective properties consumers may be interested in purchasing. Some properties which appear for sale on the website may no longer be available because they are for instance, under contract, sold or are no longer being offered for sale. Property information displayed is deemed reliable but is not guaranteed. Copyright 2026 Bright MLS, Inc.

Map of 1201 Chews Landing Rd Road, Laurel Springs, NJ 08021

Not quite what you are looking for?

Similar listings for sale near 1201 Chews Landing Rd Road, Laurel Springs, NJ 08021


Like the area?

More homes for sale near 1201 Chews Landing Rd Road, Laurel Springs, NJ 08021


1201 Chews Landing Rd Road, Laurel Springs, NJ 08021 is a vacant land currently listed at $470,000. This vacant land has been listed on RLAH @properties since November 1st, 2025.