302 16th Street

302 16th Street
Mendota, Illinois 61342

Active / MLS #12589118 / Farm / Mendota
Listing information updated 3/26/2026 at 6:03am
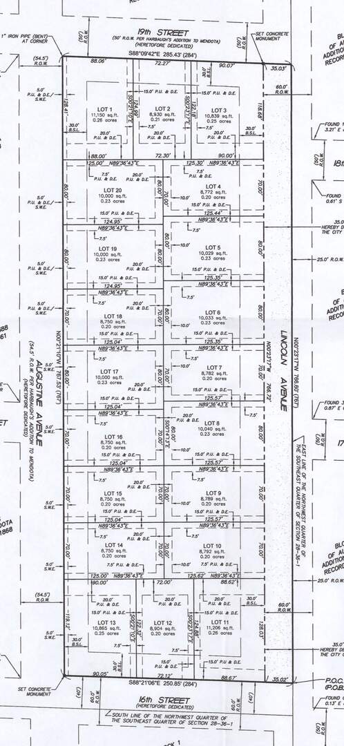
Rare opportunity for builders and developers to acquire 18 residential parcels in a thoughtfully planned neighborhood in Mendota, a growing community attracting buyers seeking affordability and small-town quality of life. The proposed layout includes a mix of generously sized homesites, with several oversized corner lots ideal for ranch-style homes and wider footprints, while interior parcels are well suited for traditional two-story residences. The plan emphasizes efficient land use, attractive streetscapes, and strong resale appeal while supporting a variety of housing styles that complement the character of the area. An additional advantage for builders: if basements are constructed, excavated soil can potentially be relocated to approximately 14 acres owned by the seller directly across the street, offering a convenient solution for site management. With continued community growth, supportive municipal leadership, and increasing demand from buyers relocating from higher-cost regions, this offering presents a compelling development opportunity in an underserved housing market.

Listing Office: Keller Williams Infinity

Listing Office Phone: 630.778.5800

Disclaimer: The data relating to real estate for sale on this website comes courtesy of Midwest Real Estate Data, LLC as distributed by MLS GRID. Real estate listings held by brokerage firms other than @properties are marked with the Broker Reciprocity thumbnail logo and detailed information about them includes the name of the listing brokers. Properties displayed may be listed or sold by various participants in the MLS. Based on information submitted to the MLS GRID as of 3/26/2026 at 6:03am. All data is obtained from various sources and may not have been verified by broker or MLS GRID. Supplied Open House Information is subject to change without notice. All information should be independently reviewed and verified for accuracy. Properties may or may not be listed by the office/agent presenting the information. Some listings have been excluded from this website.


Not quite what you are looking for?

Similar listings for sale near 302 16th Street, Mendota, IL 61342


Like the area?

More homes for sale near 302 16th Street, Mendota, IL 61342